Мы используем куки-файлы. Соглашение об использовании
Аукцион

Продается коммерческая земля, 14,9 сот.

Площадь участка14,9 сот.
КатегорияУчасток поселений
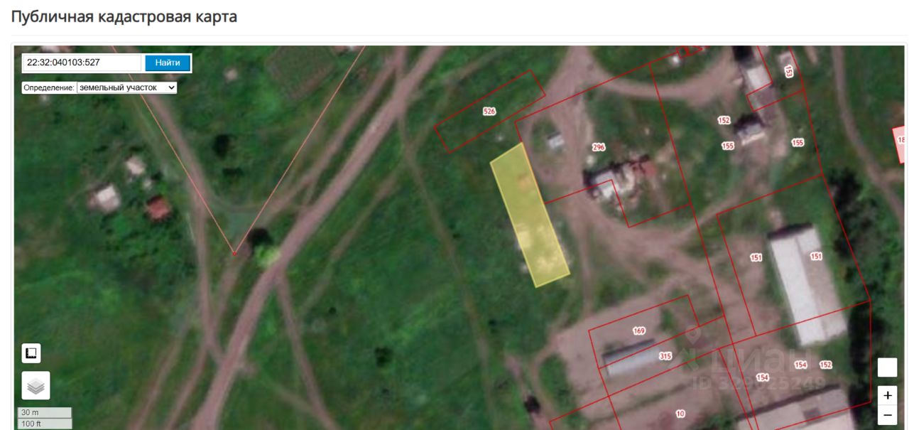
Данные получены с сайта ГИС Торги. Земельный участок категории земель земли населенных пунктов, с кадастровым номером 22:32:040103:527, разрешенное использование хранение и переработка сельскохозяйственной продукции, общей площадью 1 490 кв.м., кадастровой стоимостью 128 423,1 рубля, местоположение земельного участка: Алтайский край, Панкрушихинский район, с. Зятьково, ул. Садовая.
АукционОбъект реализуется посредством электронных торгов. Конечную информацию об оплате, дополнительных платежах и условия заключения договора смотрите в документах извещения к лоту, на сайте электронной торговой площадки.
lock

Войдите или зарегистрируйтесь
для просмотра информации

Просматривайте условия сделки и всю информацию об объекте
Сохраняйте фильтры в поиске и не вводите заново
Доступ к избранному с любого устройства
Неограниченное добавление в избранное
  • Инфраструктура
  • Похожие рядом
Помощь надёжных риелторов
Риелтор партнёр Циан поможет купить или продать любую недвижимость
Управляющая компанияID 128914650
  • 1 год 1 месяц на Циане
  • 10536 объявлений
  • Начальная цена, аукцион
    128 423 ₽
    1 701 $
    1 455
    Цена за сотку
    8 619 ₽
    Налог
    УСН
    Управляющая компанияID 128914650